د لاس رسي وړ اتصالات
اصلي متن ته لاړ شئ
عمومي لارښود ته لاړ شئ
لټون ځای ته لاړ شئ
کورپاڼه
افغانستان
سیمه
امریکا
نړۍ
ښځې او نجونې
ځوانان
د بیان ازادي
روغتیا
سرمقاله
له مونږ سره په تماس کې پاتې شئ
ژبې
لټون
صدای امریکا دری
ژوندۍ
ژوندۍ
لټون
پخوانی
بل
Breaking News
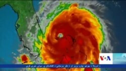
په امریکا کې د ډوریان توپان پنځه کسان مړه کړې دي
وږی ۱۲, ۱۳۹۸
Embed
په امریکا کې د ډوریان توپان پنځه کسان مړه کړې دي
Embed
The code has been copied to your clipboard.
width
px
height
px
The URL has been copied to your clipboard
No media source currently available
0:00
0:01:43
0:00
په امریکا کې د ډوریان توپان پنځه کسان مړه کړې دي
شریک کول
شریک کول
تلویزیوني خپرونې وگورئ
رادیویي خپرونې وگورئ
XS
SM
MD
LG